
Phạm vi nghiên cứu của dự án kéo dài từ khu vực hầm Kim Liên (quận Đống Đa) đến nút giao Cầu Giẽ, đi qua nhiều quận huyện phía Nam của Hà Nội. Đây là tuyến giao thông huyết mạch kết nối trung tâm thành phố với khu vực phía Nam và các tỉnh như Hà Nam, Ninh Bình, Nam Định.
Theo hồ sơ quy hoạch, tuyến đường không chỉ đóng vai trò giao thông mà còn được định hướng phát triển thành trục không gian đô thị quan trọng, góp phần chỉnh trang và tái thiết nhiều khu vực đô thị cũ dọc Quốc lộ 1A.
.jpg)
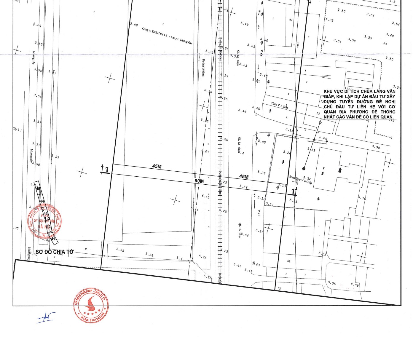
Hồ sơ thuyết minh và bản vẽ phương án tuyến được lập ở tỷ lệ 1/500, thể hiện chi tiết vị trí tuyến, chỉ giới đường đỏ và các yếu tố hạ tầng liên quan.
Theo phương án nghiên cứu:
Tuyến đường cơ bản bám theo hướng tuyến Quốc lộ 1A hiện hữu
Mở rộng hành lang giao thông và cải tạo các nút giao quan trọng
Kết hợp chỉnh trang đô thị và phát triển không gian hai bên tuyến
Mặt cắt ngang tuyến đường được nghiên cứu với hành lang quy hoạch khoảng 90m, bao gồm:
Làn xe cơ giới chính
Làn xe hỗn hợp
Dải phân cách trung tâm
Hệ thống vỉa hè
Hạ tầng kỹ thuật đô thị
Quy mô này nhằm đáp ứng nhu cầu giao thông lớn trong tương lai và tạo điều kiện phát triển các khu đô thị, thương mại, dịch vụ dọc tuyến.
.jpg)
Theo hồ sơ quy hoạch, tuyến Trục không gian Quốc lộ 1A đi qua nhiều khu vực quan trọng của Hà Nội, bao gồm:
Quận Đống Đa
Quận Hai Bà Trưng
Quận Hoàng Mai
Huyện Thanh Trì
Huyện Thường Tín
Huyện Phú Xuyên
Đây đều là những khu vực có tốc độ đô thị hóa nhanh và đóng vai trò cửa ngõ phía Nam của Thủ đô.
Việc mở rộng và nâng cấp tuyến Quốc lộ 1A sẽ góp phần:
Giảm ùn tắc giao thông khu vực nội đô
Tăng khả năng kết nối liên vùng
Thúc đẩy phát triển kinh tế và bất động sản dọc tuyến.
Trong quá trình lập phương án tuyến, nhiều yếu tố hạ tầng và công trình hiện hữu được nghiên cứu kỹ lưỡng, bao gồm:
Tuyến đường có đoạn cắt qua một số tuyến sông và kênh mương thủy lợi. Khi triển khai dự án cần có giải pháp thiết kế phù hợp nhằm đảm bảo không ảnh hưởng đến hệ thống thoát nước và sản xuất nông nghiệp của địa phương.
Dọc tuyến hiện có nhiều tuyến điện cao thế như:
110kV
220kV
500kV
Việc xây dựng tuyến đường cần tuân thủ các quy định về bảo vệ công trình điện lực và an toàn lưới điện quốc gia.
Trong phạm vi tuyến có một số khu vực di tích, đình, chùa và nghĩa trang. Khi lập dự án đầu tư cần phối hợp với chính quyền địa phương để đảm bảo việc bảo tồn các công trình văn hóa lịch sử.
.jpg)
Một điểm đặc biệt của dự án là định hướng kết hợp giao thông với phát triển đô thị. Tuyến Quốc lộ 1A sau khi mở rộng không chỉ là trục giao thông mà còn trở thành trục không gian đô thị mới của Hà Nội.
Các khu vực hai bên tuyến có tiềm năng phát triển:
khu đô thị mới
trung tâm thương mại
khu dịch vụ
khu nhà ở hiện đại
Điều này sẽ góp phần thay đổi diện mạo đô thị phía Nam Hà Nội trong tương lai.
Với quy mô lớn và vị trí chiến lược, dự án Trục không gian Quốc lộ 1A từ hầm Kim Liên đến Cầu Giẽ được đánh giá có tác động mạnh tới thị trường bất động sản khu vực phía Nam Hà Nội.
Khi dự án được triển khai, các khu vực như:
Hoàng Mai
Thanh Trì
Thường Tín
Phú Xuyên
được dự báo sẽ có nhiều cơ hội phát triển hạ tầng, đô thị và tăng giá trị bất động sản.
Đây cũng là lý do nhiều nhà đầu tư đang đặc biệt quan tâm đến quỹ đất và các dự án bất động sản dọc tuyến Quốc lộ 1A trong thời gian tới.
Hồ sơ thuyết minh và bản vẽ phương án vị trí tuyến đường tỷ lệ 1/500 Quốc lộ 1A thuộc Dự án Trục không gian Quốc lộ 1A từ hầm Kim Liên đến nút giao Cầu Giẽ cho thấy định hướng phát triển hạ tầng và đô thị rất lớn của Hà Nội trong tương lai.
Việc mở rộng tuyến Quốc lộ 1A kết hợp tái thiết đô thị không chỉ giúp nâng cao năng lực giao thông mà còn tạo động lực phát triển mạnh mẽ cho khu vực phía Nam Thủ đô.
Tải về: File Bản vẽ phương án, vị trí tuyến đường tỷ lệ 1/500 Đoạn Thường Tín 38-44
Tải về: File Bản vẽ phương án, vị trí tuyến đường tỷ lệ 1/500 Đoạn Đại Xuyên 2-8
Tải về File bản vẽ 01. Kim Liên 65-67
Tải về File bản vẽ 02. Bạch Mai 65-67
Tải về File bản vẽ 03. Tương Mai 62-65
Tải về File bản vẽ 04. Phương Liệt 62-65
Tải về File bản vẽ 05. Định Công 60-62
Tải về File bản vẽ 06. Hoàng Mai 59-62
Tải về File bản vẽ 07. Hoàng Liệt 56-59
Tải về File bản vẽ 08. Yên Sở 56-59
Tải về File bản vẽ 09. Đại Thanh 54-56
Tải về File bản vẽ 10. Thanh Trì 50-56
Tải về File bản vẽ 11. Thanh Trì 44-50
Tải về File bản vẽ 12. Thường Tín 38-44
Tải về File bản vẽ 13. Hồng Vân 36-38
Tải về File bản vẽ 14. Chuyên Mỹ 1-5
Tải về File bản vẽ 15. Đại Xuyên 2-8
Tải về File bản vẽ 16. Phú Xuyên 8-25